Ascultă Radio România Oltenia - Craiova Live

Uraganul Florence (audio)

Uraganul Florence (audio)

Publicat de Liviu Goga, 14 septembrie 2018, 08:50

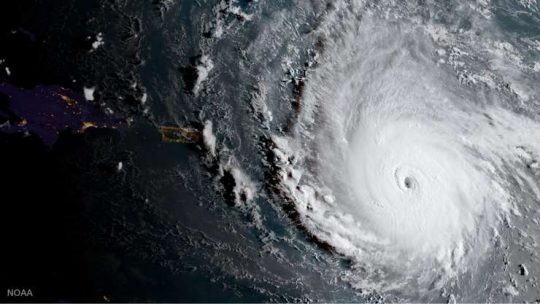
Uraganul Florence va atinge astăzi coastele Carolinei de Nord şi Carolinei de Sud pe fondul temerilor că ar putea fi cea mai puternică furtună care afectează aceste state americane într-o generaţie. Coastele Carolinelor sunt deja afectate de vânturi puternice şi ploi, informează corespondentul nostru în Statele Unite, Doina Saiciuc: